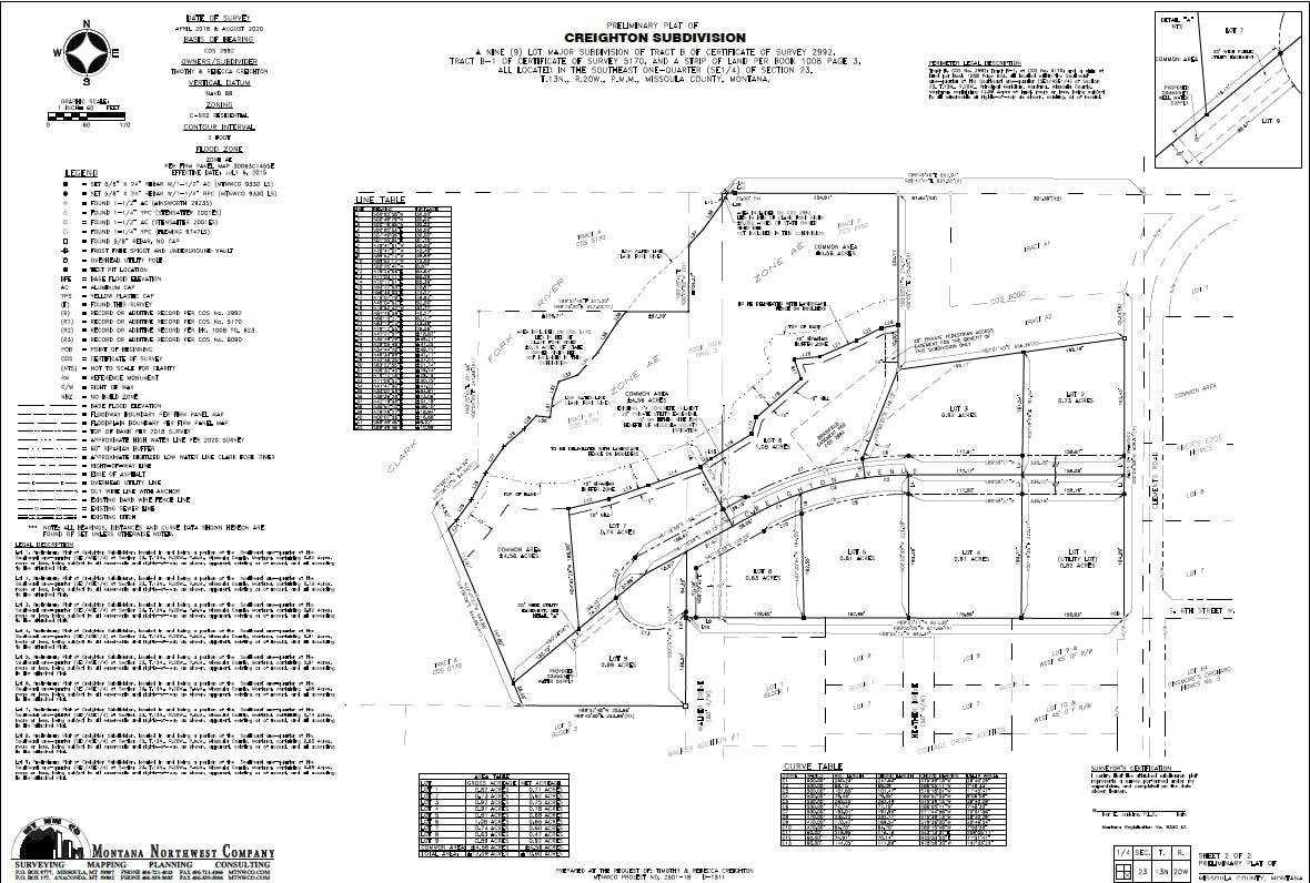
Creighton Subdivision in Target Range
Consultation has concluded
On October 24, the Missoula County commissioners approved the Creighton Subdivision, a 9-lot residential development located off Clements Road in the Target Range area. The project includes one utility lot and a common area, along with two variances: one for road access from Clements (approved) and another for not connecting through to Walker Drive (denied – requiring the through connection). You can watch the full meeting on the County’s YouTube channel.
Let us know what you think about the Creighton Subdivision in Target Range and ask any questions you may have.
The Creighton subdivision is a proposed 9-lot residential major subdivision, including one utility lot, located off Clements Road in the Target Range area. The proposal includes a common area. Two variances are requested: 1.) a variance to not provide access off a road with less use, and 2.) a variance to not connect through to Walker Drive to the south.
- This property has been used as pasture land in the past and formerly contained three large radio towers. The radio towers have been removed to develop the property.
- A multi-user sanitation system is proposed for Lot 1, a utility lot
- A multi-user well is proposed to serve all subdivision lots
The Missoula Consolidated Planning Board held a public hearing on this proposal on Tuesday, July 19, 2022.
The Board of County Commissioners held a public hearing on this proposal on Aug. 4, Oct. 6, Dec. 8, 2022, April 27 and June 22, 2023. The applicant requested additional time to address river erosion hazards, otherwise referred to as channel migration.


